土地 神戸市垂水区舞子坂2丁目
所在地
神戸市垂水区舞子坂2丁目
1,770万円
65.94坪
物件概要
- 交通
-
山陽線 舞子駅 まで 徒歩24分
- 接道状況
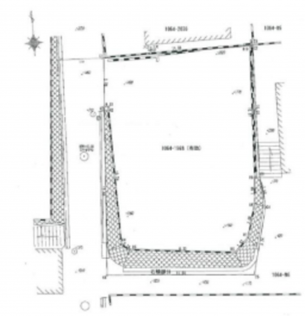
- 土地面積
- 公簿 218.00㎡ (65.94坪)
- 建ぺい率
- 60%
- 容積率
- 150%
- 土地権利
- セットバック
- 無し
- 小学校区
- 舞子
- 中学校区
- 舞子
- 私道負担
- 建築条件
- ー
- 地目
- 山林
- 現況
- その他
- 引渡時期
- 即時
- 上水道
- 下水道
- ガス
- 都市計画
- 市街化区域
- 用途地域
- 1種低層
- 設備・条件
- 備考
- 取引態様
- 仲介



